Tôn Trọng Đối Tác-Uy Tín Với Khách Hàng
Đăng ký | Đăng nhập

Email / Điện thoại

Mật khẩu

Nhớ mật khẩu | Quên mật khẩu

facebooklinkedinperiscopetwitteryoutube
vinacenterreal-1122
MuaBanNhaQuan1.Com | Giá tốt chỉ có ở chúng tôi!! | Nhà Bán | Cho thuê | Lãi Vay và Tiền Gởi Ngân Hàng | 4 cách đơn giản và dễ làm nhất giúp bạn tự thẩm định giá nhà | Quy trình mua bán nhà và lưu ý ....Thẩm định giá nhà đất miễn phí theo sát thị trường! hotline: 0901 085 088- Tiến building

***Bán nhà 2 mặt tiền #119 Quốc Hương, Thảo Điền Quận 2

***Bán nhà 2 mặt tiền #119 Quốc Hương, Thảo Điền Quận 2
ban-nha-2-mat-tien-119-quoc-huong-thao-dien-quan-2 - ảnh nhỏ  1 ban-nha-2-mat-tien-119-quoc-huong-thao-dien-quan-2 - ảnh nhỏ 2 ban-nha-2-mat-tien-119-quoc-huong-thao-dien-quan-2 - ảnh nhỏ 3 ban-nha-2-mat-tien-119-quoc-huong-thao-dien-quan-2 - ảnh nhỏ 4 ban-nha-2-mat-tien-119-quoc-huong-thao-dien-quan-2 - ảnh nhỏ 5 ban-nha-2-mat-tien-119-quoc-huong-thao-dien-quan-2 - ảnh nhỏ 6 ban-nha-2-mat-tien-119-quoc-huong-thao-dien-quan-2 - ảnh nhỏ 7

Giá : 80 tỷ

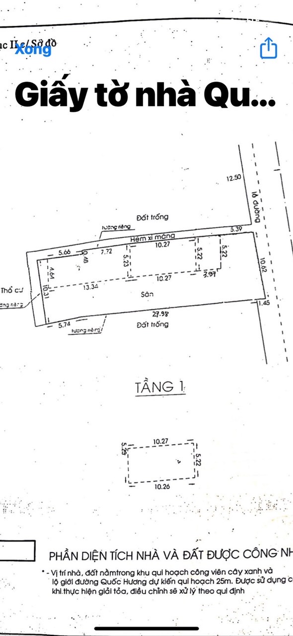
***Bán nhà 2 mặt tiền #119 Quốc Hương, Thảo Điền Quận 2. DT 10,6 x 30m giá 85 tỷ
Diện tích : 10,6 x 30m. CN 365,3m2
Hiện trạng : Nhà Cấp 4, có mặt thoáng
Vị trí đẹp, đoạn đường thẳng, tập trung nhiều tòa nhà VP, CHDV. Gần phố đi bộ Xuân Thủy,..
Khu vực được xây cao, khu kinh doanh sầm uất, dân trí cao, nhiều khách Tây,..
Giá 80 tỷ

- Làm việc chính chủ thương lượng giá tốt- 0901.085.088 Minh Tuyến

Ngày đăng tin: 31-07-2024

Lượt xem 328

  ***Bán nhà 2 mặt tiền #119 Quốc Hương

Hãy theo dõi chúng tôi trên mạng Xh để cập nhật nhà mới ra
mua_ban_nha_quan_13.200
mua_ban_nha_quan_12.200
mua_ban_nha_quan_15.200
quang-cao-tren-website-batdongsan.com_.vn_
screen_shot_2021-10-16_at_13.08.56.200
TÌM KIẾM BẤT ĐỘNG SẢN CẦN
Tỉnh Thành Phố
Quận Huyện
Loại BĐS
Khoảng giá
Diện tích
ban_nha_quan_1screen_shot_2025-01-28_at_08.27.06
tuyen_dung
2
BĐS CÔNG NGHIỆP
bat_dong_san_cong_nghiep
VinaCenterReal.Com - ĐƠN VỊ PHÂN PHỐI CHÍNH CÁC CĂN NHÀ MẶT TIỀN TRUNG TÂM SÀI GÒN
vinacenterreal-1122
Thống kê truy cập
Đang truy cập: 120
Trong ngày: 760
Trong tuần: 760
Lượt truy cập: 2469679
MINH TUYẾN – SAIGON - BĐS TRUNG TÂM

📍 𝐂𝐡𝐮𝐲𝐞̂𝐧 𝐁Đ𝐒 Tòa 𝐍𝐡à Văn Phòng - 𝐊𝐡á𝐜𝐡 𝐒ạ𝐧 - 𝐁𝐢ệ𝐭 𝐓𝐡ự - 𝐍𝐡à 𝐏𝐡ố 𝐓𝐫𝐮𝐧𝐠 𝐓â𝐦
✔️ Trách nhiệm - Tin Cậy - tận tâm.
✔️ Làm việc trực tiếp chính chủ - Không kê giá.
✔️ Bán đúng giá trị – đầu tư hiệu quả
✔️ Giá trị thật – pháp lý rõ – sinh lời bền vững.

 

Hãy Like Để Theo Dõi nhà mới ra
SÀN GIAO DỊCH BĐS MẶT TIỀN TRUNG TÂM SÀI GÒN

Chuyên Tư vấn cho cá nhân, tổ chức, giao dịch thành công nhiều bất động sản trung tâm sài gòn với chi phí thấp nhất, mang lại trải nghiệm nhiều nhất cho khách hàng. Trân Trọng Cảm Ơn! 
📞 Call/ 𝐙𝐚𝐥𝐨: 0901 085 088 - 0799 468 088
🔗 Website: VinaCenterReal.Com