Tôn Trọng Đối Tác-Uy Tín Với Khách Hàng
Đăng ký | Đăng nhập

Email / Điện thoại

Mật khẩu

Nhớ mật khẩu | Quên mật khẩu

facebooklinkedinperiscopetwitteryoutube
vinacenterreal-1122
MuaBanNhaQuan1.Com | Giá tốt chỉ có ở chúng tôi!! | Nhà Bán | Cho thuê | Lãi Vay và Tiền Gởi Ngân Hàng | 4 cách đơn giản và dễ làm nhất giúp bạn tự thẩm định giá nhà | Quy trình mua bán nhà và lưu ý ....Thẩm định giá nhà đất miễn phí theo sát thị trường! hotline: 0901 085 088- Tiến building

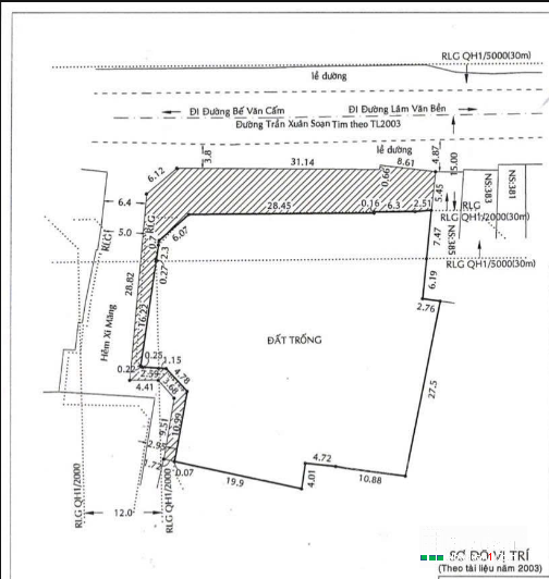
Bán đất lớn 2000m2, #385 Trần Xuân Soạn, Quận 7,

Bán đất lớn 2000m2,  #385 Trần Xuân Soạn, Quận 7,
ban-dat-lon-2000m2-385-tran-xuan-soan-quan-7 - ảnh nhỏ  1 ban-dat-lon-2000m2-385-tran-xuan-soan-quan-7 - ảnh nhỏ 2 ban-dat-lon-2000m2-385-tran-xuan-soan-quan-7 - ảnh nhỏ 3 ban-dat-lon-2000m2-385-tran-xuan-soan-quan-7 - ảnh nhỏ 4

Giá : 240 tỷ

Cơ Hội Vàng Đầu Tư - Bán 2000m² Thổ Cư Nhà Cấp 4, 385 Trần Xuân Soạn, Quận 7.

ban_385_tran_xuan_soan_quan_7

Đây là tài sản lý tưởng cho những nhà đầu tư muốn nắm giữ một vị trí vàng tại Quận 7. Với diện tích rộng rãi 2000m² (40m x 50m), ngay gần cầu Tân Thuận 1, bất động sản này có tiềm năng phát triển thành tòa nhà văn phòng, nhà hàng, showroom, hoặc khách sạn cao cấp.

Hiện tại, tài sản đang được cho thuê với thu nhập ổn định 120 triệu/tháng, mang lại lợi ích ngay từ khi sở hữu. Sổ hồng cá nhân, sở hữu tư nhân với 4 sổ riêng, đảm bảo pháp lý rõ ràng, thuận tiện giao dịch.

Thông tin chi tiết:

  • Diện tích công nhận: 2000m²
  • Kết cấu: Đất + Nhà Cấp 4
  • Pháp lý: Sổ hồng riêng từng sổ
  • Giá bán: 240 tỷ (thương lượng)

Với mức giá hợp lý và tiềm năng tăng trưởng giá trị vượt trội, đây là cơ hội tuyệt vời để đầu tư sinh lời ngay tại Quận 7, khu vực đang phát triển mạnh mẽ.

- Liên hệ ngay để biết thêm chi tiết!

- Hotline: 0901085088 Minh Tuyến

Ngày đăng tin: 03-10-2024

Lượt xem 334

  Quận 7Bán đất lớn #385 Trần Xuân Soạn

Hãy theo dõi chúng tôi trên mạng Xh để cập nhật nhà mới ra
mua_ban_nha_quan_13.200
mua_ban_nha_quan_12.200
mua_ban_nha_quan_15.200
quang-cao-tren-website-batdongsan.com_.vn_
screen_shot_2021-10-16_at_13.08.56.200
TÌM KIẾM BẤT ĐỘNG SẢN CẦN
Tỉnh Thành Phố
Quận Huyện
Loại BĐS
Khoảng giá
Diện tích
ban_nha_quan_1screen_shot_2025-01-28_at_08.27.06
tuyen_dung
2
BĐS CÔNG NGHIỆP
bat_dong_san_cong_nghiep
VinaCenterReal.Com - ĐƠN VỊ PHÂN PHỐI CHÍNH CÁC CĂN NHÀ MẶT TIỀN TRUNG TÂM SÀI GÒN
vinacenterreal-1122
Thống kê truy cập
Đang truy cập: 75
Trong ngày: 112
Trong tuần: 112
Lượt truy cập: 2421880
MINH TUYẾN – SAIGON - BĐS TRUNG TÂM

📍 𝐂𝐡𝐮𝐲𝐞̂𝐧 𝐁Đ𝐒 Tòa 𝐍𝐡à Văn Phòng - 𝐊𝐡á𝐜𝐡 𝐒ạ𝐧 - 𝐁𝐢ệ𝐭 𝐓𝐡ự - 𝐍𝐡à 𝐏𝐡ố 𝐓𝐫𝐮𝐧𝐠 𝐓â𝐦
✔️ Trách nhiệm - Tin Cậy - tận tâm.
✔️ Làm việc trực tiếp chính chủ - Không kê giá.
✔️ Bán đúng giá trị – đầu tư hiệu quả
✔️ Giá trị thật – pháp lý rõ – sinh lời bền vững.

 

Hãy Like Để Theo Dõi nhà mới ra
SÀN GIAO DỊCH BĐS MẶT TIỀN TRUNG TÂM SÀI GÒN

Chuyên Tư vấn cho cá nhân, tổ chức, giao dịch thành công nhiều bất động sản trung tâm sài gòn với chi phí thấp nhất, mang lại trải nghiệm nhiều nhất cho khách hàng. Trân Trọng Cảm Ơn! 
📞 Call/ 𝐙𝐚𝐥𝐨: 0901 085 088 - 0799 468 088
🔗 Website: VinaCenterReal.Com